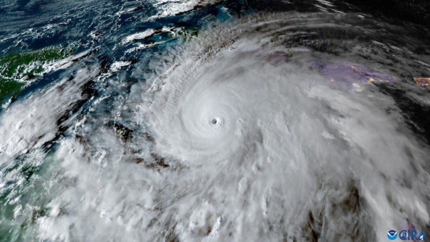
ہوانا(29اکتوبر2028): سمندری طوفان ملیسا نے جمیکا میں تباہی مچانے کے بعد کیوبا کو اپنی لپیٹ میں لے لیا.
سمندری طوفان ملیسا نے جمیکا میں تباہی مچانے کے بعد کیوبا کے ساحلی علاقوں کو شدید متاثر کیا ہے۔ طاقتور ہواؤں اور طوفانی بارشوں نے درخت اکھاڑ دیے، بجلی کا نظام درہم برہم کر دیا، اور سینکڑوں گھروں کو نقصان پہنچا۔
کیوبا کے محکمہ موسمیات کے مطابق، طوفان کے ساتھ چلنے والی ہواؤں کی رفتار 150 کلومیٹر فی گھنٹہ تک ریکارڈ کی گئی، جبکہ نشیبی علاقوں میں سیلاب کی اطلاعات موصول ہو رہی ہیں۔ حکام نے متاثرہ علاقوں میں ہنگامی حالت نافذ کر دی ہے اور شہریوں کو محفوظ مقامات پر منتقل کیا جا رہا ہے۔
جمیکا میں طوفان کے باعث کئی علاقوں میں بجلی اور پانی کی فراہمی منقطع ہے جبکہ درجنوں مکانات تباہ ہو چکے ہیں۔ امدادی ٹیمیں متاثرہ علاقوں میں ریسکیو کارروائیوں میں مصروف ہیں۔
محکمہ موسمیات نے خبردار کیا ہے کہ طوفان ملیسا اگلے 24 گھنٹوں کے دوران مزید شمال کی جانب بڑھ سکتا ہے اور فلوریڈا کے جنوبی ساحلوں کو متاثر کر سکتا ہے۔
